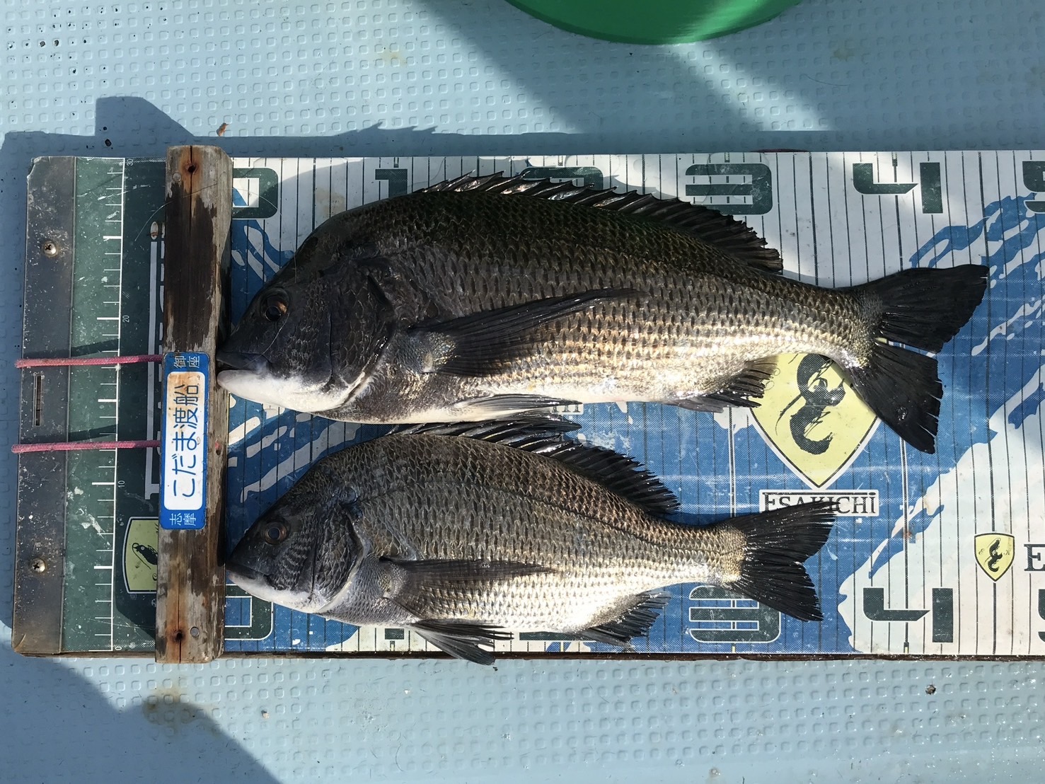
9月14日 釣果です

石神様 サナギ、コーン

大島様

龍田様

山田様

榊原様

本日もありがとうございました

関連記事

  1. 三重の志摩でアオリイカのヤエン釣りに挑戦です【釣りガール たま】

    2021.05.31

    三重の志摩でアオリイカのヤエン釣りに挑戦です【釣りガール たま】

    こんにちは かわべ屋アシスタントの主婦釣り師タマです。今回からスタートする、たまチャレンジ!…

    三重の志摩でアオリイカのヤエン釣りに挑戦です【釣りガール たま】
  2. こだま渡船 カセ釣り釣果 2021/2/22

    2021.02.22

    こだま渡船 カセ釣り釣果 2021/2/22

    本日チヌ44~40、4〜1枚エサはオキアミ、ボケ、サナギ、コーン…

    こだま渡船 カセ釣り釣果 2021/2/22
  3. こだま渡船 カセ釣り釣果 2020/12/18

    2020.12.18

    こだま渡船 カセ釣り釣果 2020/12/18

    岐阜県の北村様本日はお越し頂き誠に有難う御座います釣果は、チヌ釣法は、カ…

    こだま渡船 カセ釣り釣果 2020/12/18
  4. 船頭は見た❗️伊勢志摩の渡船屋[こだま渡船] #shorts

    2022.09.13

    船頭は見た❗️伊勢志摩の渡船屋[こだま渡船] #shorts

    伊勢志摩のこだま渡船です。お客様のヒットシーンになります。その他海の景色だとか自然の…

    船頭は見た❗️伊勢志摩の渡船屋[こだま渡船] #shorts
  5. こだま渡船 カセ釣り釣果 2022/11/26

    2022.11.26

    こだま渡船 カセ釣り釣果 2022/11/26

    11月26日 釣果です…

    こだま渡船 カセ釣り釣果 2022/11/26
  6. こだま渡船 カセ釣り釣果 2025/07/25

    2025.07.25

    こだま渡船 カセ釣り釣果 2025/07/25

    7月25日 釣果です萩原様 カキ落とし込みイシガキダイ4枚 …

    こだま渡船 カセ釣り釣果 2025/07/25
  7. こだま渡船 カセ釣り釣果 2023/4/29

    2023.04.29

    こだま渡船 カセ釣り釣果 2023/4/29

    4月29日 釣果です石神竹次郎様 チヌ48センチ エサ アオイソ…

    こだま渡船 カセ釣り釣果 2023/4/29
  8. こだま渡船 カセ釣り釣果 2024/10/05

    2024.10.5

    こだま渡船 カセ釣り釣果 2024/10/05

    10月5日 釣果です水野様 エサ サナギ西村様 泳がせ…

    こだま渡船 カセ釣り釣果 2024/10/05
  9. こだま渡船 カセ釣り釣果 2021/7/23

    2021.07.23

    こだま渡船 カセ釣り釣果 2021/7/23

    7/23釣果です。チヌ、ハモ、アジ、チャリコ、サバ、グレ水温27.8度…

    こだま渡船 カセ釣り釣果 2021/7/23

コメント

  1. この記事へのコメントはありません。

  1. この記事へのトラックバックはありません。

CAPTCHA


PAGE TOP