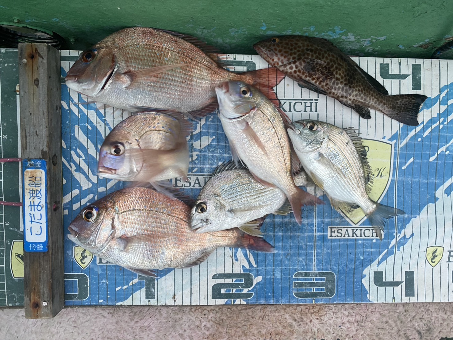
11月29日 釣果です

エギンガー榊原様

水野様 エサ サナギ

出口様 エサ オキアミ

人長様 エサ オキアミ

水温 18度

まだまだ餌取りの活性高く皆様苦戦してました
本日もありがとうございました

関連記事

  1. こだま渡船 カセ釣り釣果 2021/5/5

    2021.05.5

    こだま渡船 カセ釣り釣果 2021/5/5

    5/5釣果です。45センチを頭に2枚エサはコーン釣り人さんも久々のチヌに…

    こだま渡船 カセ釣り釣果 2021/5/5
  2. こだま渡船 カセ釣り釣果 2025/04/06

    2025.04.6

    こだま渡船 カセ釣り釣果 2025/04/06

    4月6日 釣果です大島辰雄様 エサ オキアミ本日もあ…

    こだま渡船 カセ釣り釣果 2025/04/06
  3. こだま渡船 カセ釣り釣果 2021/12/20

    2021.12.20

    こだま渡船 カセ釣り釣果 2021/12/20

    12/20釣果です。チヌ、マダイ、グレ、コウイカエサは、オキアミ…

    こだま渡船 カセ釣り釣果 2021/12/20
  4. こだま渡船 カセ釣り釣果 2023/3/22

    2023.03.22

    こだま渡船 カセ釣り釣果 2023/3/22

    2023 こだま渡船 初年無しです。エサ ボケ白甘鯛来ました。…

    こだま渡船 カセ釣り釣果 2023/3/22
  5. こだま渡船 カセ釣り釣果 2020/12/11

    2020.12.11

    こだま渡船 カセ釣り釣果 2020/12/11

    滋賀県 栗東町の 渡辺様本日はお越し頂き誠に有難う御座います釣果は、チヌ…

    こだま渡船 カセ釣り釣果 2020/12/11
  6. 船頭は見た❗️伊勢志摩の渡船屋[こだま渡船] #shorts

    2024.06.21

    船頭は見た❗️伊勢志摩の渡船屋[こだま渡船] #shorts

    伊勢志摩のこだま渡船です。お客様のヒットシーンになります。その他海の景色だとか自然の…

    船頭は見た❗️伊勢志摩の渡船屋[こだま渡船] #shorts
  7. こだま渡船 カセ釣り釣果 2020/11/10

    2020.11.10

    こだま渡船 カセ釣り釣果 2020/11/10

    南伊勢町からお越しの河部様。本日も来てくださり誠に有難う御座います。本日…

    こだま渡船 カセ釣り釣果 2020/11/10
  8. こだま渡船 カセ釣り釣果 2025/11/08

    2025.11.9

    こだま渡船 カセ釣り釣果 2025/11/08

    11月8日 釣果です龍田様 エサ サナギ貴重な一枚でした本日もあ…

    こだま渡船 カセ釣り釣果 2025/11/08
  9. 冬でも五目釣りを楽しめました【初心者オススメ】

    2022.02.4

    冬でも五目釣りを楽しめました【初心者オススメ】

    海辺のかわべ屋様Youtubeチャンネル動画概要欄より引用させていただきました。↓↓↓…

    冬でも五目釣りを楽しめました【初心者オススメ】

コメント

  1. この記事へのコメントはありません。

  1. この記事へのトラックバックはありません。

CAPTCHA


PAGE TOP