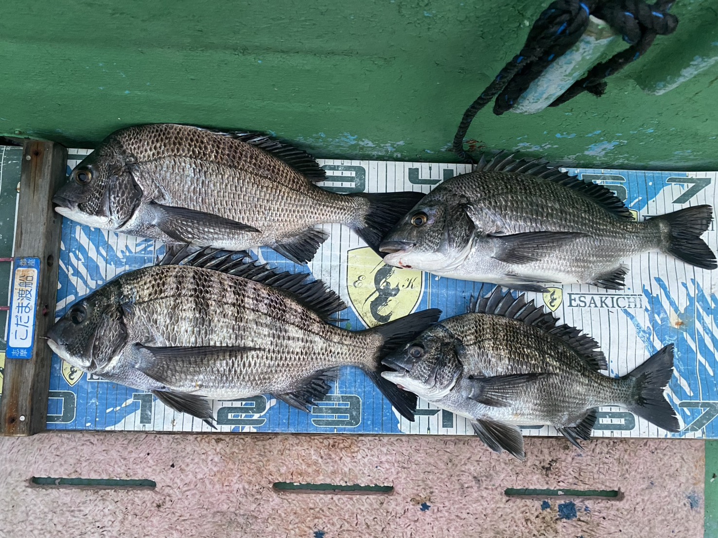
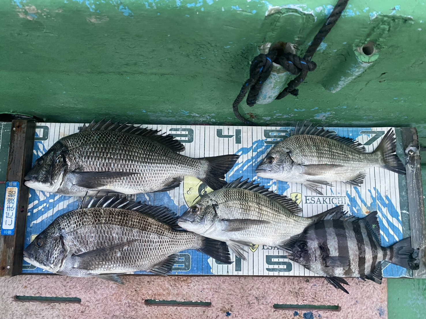
11月30日 釣果です

梅村兄 エサ サナギ

梅村弟様 エサ コーン

水温 18度

今日は最高の釣り日和でした
ありがとございました

関連記事

  1. こだま渡船 カセ釣り釣果 2021/3/24

    2021.03.24

    こだま渡船 カセ釣り釣果 2021/3/24

    3/24 釣果です。乗っ込んで来ました。47~35センチ…

    こだま渡船 カセ釣り釣果 2021/3/24
  2. こだま渡船 カセ釣り釣果 2024/08/03

    2024.08.3

    こだま渡船 カセ釣り釣果 2024/08/03

    8月3日 釣果です岩井様 エサ サナギ水野様 エサ オキアミ…

    こだま渡船 カセ釣り釣果 2024/08/03
  3. こだま渡船 カセ釣り釣果 2022/6/17

    2022.06.17

    こだま渡船 カセ釣り釣果 2022/6/17

    6/17釣果です。チヌ42頭に5~2枚、キビレ…

    こだま渡船 カセ釣り釣果 2022/6/17
  4. こだま渡船 カセ釣り釣果 2023/3/20

    2023.03.20

    こだま渡船 カセ釣り釣果 2023/3/20

    3月20日 釣果ですエサ オキアミ、ボケエサ オキアミ…

    こだま渡船 カセ釣り釣果 2023/3/20
  5. こだま渡船 カセ釣り釣果 2023/9/30

    2023.09.30

    こだま渡船 カセ釣り釣果 2023/9/30

    9月30日 釣果ですOSP CHANNELさんエサ取りに悩まされ…

    こだま渡船 カセ釣り釣果 2023/9/30
  6. こだま渡船 カセ釣り釣果 2022/11/16

    2022.11.16

    こだま渡船 カセ釣り釣果 2022/11/16

    11月16日 釣果ですエサ オキアミ、コーン…

    こだま渡船 カセ釣り釣果 2022/11/16
  7. 船頭は見た❗️伊勢志摩の渡船屋[こだま渡船] #shorts

    2024.07.28

    船頭は見た❗️伊勢志摩の渡船屋[こだま渡船] #shorts

    伊勢志摩のこだま渡船です。お客様のヒットシーンになります。その他海の景色だとか自然の…

    船頭は見た❗️伊勢志摩の渡船屋[こだま渡船] #shorts
  8. 【かかり釣り】ご無沙汰しております。復帰戦です!相変わらずのOSPのオヤジです。(笑)今後共、宜しくです!ご視聴お願いします。

    2022.04.16

    【かかり釣り】ご無沙汰しております。復帰戦です!相変わらずのOSPのオ…

    少し、動画投稿に間が空いてしまいました。相変わらず、やる気は満々なのですが、色々ありまして。…

    【かかり釣り】ご無沙汰しております。復帰戦です!相変わらずのOSPのオヤジです。(笑)今後共、宜しくです!ご視聴お願いします。
  9. こだま渡船 カセ釣り釣果 2020/12/11

    2020.12.11

    こだま渡船 カセ釣り釣果 2020/12/11

    滋賀県 栗東町の 渡辺様本日はお越し頂き誠に有難う御座います釣果は、チヌ…

    こだま渡船 カセ釣り釣果 2020/12/11

コメント

  1. この記事へのコメントはありません。

  1. この記事へのトラックバックはありません。

CAPTCHA


PAGE TOP